Italiano
73.500 €

BILOCALE ALL'ASTA

2 locali in vendita • Milano (Greco/ Monza/ Palmanova) - Via Padova, 272
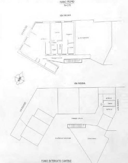
unità immobiliare al piano primo composta da due locali e servizi, oltre cantina al piano interrato, della superficie commerciale di 53 mq, dotata di aria condizionata e riscaldamento autonomo
unità immobiliare al piano primo composta da due locali e servizi, oltre cantina al piano interrato, della superficie commerciale di 53 mq, dotata di aria condizionata e riscaldamento autonomo
AFFARI ALL'ASTA è uno studio di consulenza che si occupa di aste immobiliari e saldo stralcio, dove il cliente viene seguito in tutto il percorso relativo all' acquisto tramite aste giudiziarie.
L' immobile viene venduto dal tribunale ed il prezzo indicato si riferisce all' offerta minima.
Contattaci per fissare un appuntamento per avere maggiori informazioni.
Per maggiori informazioni:
MILANO, VIA GIUSEPPE TARTINI, 12 (MI)
+39 3392588984
+39 3427176507

Per maggiori informazioni:
MILANO, VIA GIUSEPPE TARTINI, 12 (MI)
+39 3392588984
+39 3427176507

Caratteristiche principali
Codice
SOT206
Città
Milano (Greco/ Monza/ Palmanova)
Categoria
2 locali
Prezzo
73.500 €
Locali
2
Mq
53
Piano
1
Classe energetica
G
Stato Immobile
Buono
Grado
Medio
Posizione
Periferia
Panorama
Vista Aperta
Orientamento
Nord Ovest Sud Est
Giardino
Cortile
Arredi
Semi Arredato
Tipo Soggiorno
Sala da Pranzo
Tipo Cucina
A Vista
Riscaldamento
Autonomo
Tipo Riscaldam.
Caldaia
Tipo Impianto
Radiatori
Fonte Energetica
Metano
Infissi
PVC
Serramenti
Buono
Persiana
Tapparella PVC
Pavim. Giorno
Ceramica
Pavim. Notte
Ceramica
Pavim. Cucina
Ceramica
Pavim. Bagno
Ceramica

Accessori: Aria Condizionata, Porta Blindata, Video Citofono

Mappa
Via Padova 272, Milano (MI)
Condividi su
Cookie preference