Italiano
36.420 €

RUSTICO ALL'ASTA

Rustico/Casale in vendita • Truccazzano - SP Rivoltana, 14
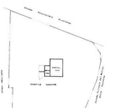
RUSTICO/CASALE ALL'ASTA SITO IN TRUCCAZZANO ALLA STRADA PROVINCIALE RIVOLTANA 14, POSTO AL PIANO TERRA, DELLA SUPERFICIE COMMERCIALE DI 36 MQ, CIRCONDATO DA TERRENO FACENTE PARTE DELLA VENDITA
RUSTICO/CASALE ALL'ASTA SITO IN TRUCCAZZANO ALLA STRADA PROVINCIALE RIVOLTANA 14, POSTO AL PIANO TERRA, DELLA SUPERFICIE COMMERCIALE DI 36 MQ, CIRCONDATO DA TERRENO FACENTE PARTE DELLA VENDITA
AFFARI ALL'ASTA è uno studio di consulenza che si occupa di aste immobiliari e saldo stralcio, dove il cliente viene seguito in tutto il percorso relativo all' acquisto tramite aste giudiziarie.
L' immobile viene venduto dal tribunale ed il prezzo indicato si riferisce all' offerta minima.
Contattaci per fissare un appuntamento per avere maggiori informazioni.
Per maggiori informazioni:
MILANO, VIA GIUSEPPE TARTINI, 12 (MI)
+39 3392588984
+39 3427176507

Per maggiori informazioni:
MILANO, VIA GIUSEPPE TARTINI, 12 (MI)
+39 3392588984
+39 3427176507

Caratteristiche principali
Codice
SNO195
Città
Truccazzano
Categoria
Rustico/Casale
Prezzo
36.420 €
Locali
1
Mq
36
Piano
Terra
Classe energetica
G
Stato Immobile
Buono
Grado
Medio
Posizione
Periferia
Panorama
Vista Aperta
Orientamento
Nord Ovest Sud Est
Giardino
Privato
Arredi
Semi Arredato
Infissi
Legno
Serramenti
Buono
Pavim. Giorno
Ceramica
Pavim. Notte
Ceramica
Pavim. Cucina
Ceramica
Pavim. Bagno
Ceramica
Mappa
SP Rivoltana 14, Truccazzano (MI)
Condividi su
Cookie preference