Italiano
26.475 €

TRILOCALE ALL'ASTA

3 locali in vendita • Candia Lomellina - Via borgoratto , 30
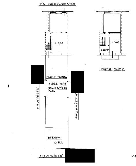
Unità immobiliare ad uso residenziale disposta su due piani fuori terra, formata da tre locali con servizi, oltre ad area cortiliva pertinenziale e box auto. Della superficie commerciale di 103 mq
Unità immobiliare ad uso residenziale disposta su due piani fuori terra, formata da tre locali con servizi, oltre ad area cortiliva pertinenziale e box auto. Della superficie commerciale di 103 mq
AFFARI ALL'ASTA è uno studio di consulenza che si occupa di aste immobiliari e saldo stralcio, dove il cliente viene seguito in tutto il percorso relativo all' acquisto tramite aste giudiziarie.
L' immobile viene venduto dal tribunale ed il prezzo indicato si riferisce all' offerta minima.
Contattaci per fissare un appuntamento per avere maggiori informazioni.
Per maggiori informazioni:
MILANO, VIA GIUSEPPE TARTINI, 12 (MI)
+39 3392588984
+39 3427176507

Per maggiori informazioni:
MILANO, VIA GIUSEPPE TARTINI, 12 (MI)
+39 3392588984
+39 3427176507
Caratteristiche principali
Codice
SFE49
Città
Candia Lomellina
Categoria
3 locali
Prezzo
26.475 €
Locali
3
Mq
103
Box
1
Piano
Terra
Classe energetica
G
Stato Immobile
Buono
Grado
Medio
Posizione
Centro
Panorama
Vista Aperta
Orientamento
Nord Ovest Sud Est
Giardino
Privato
Arredi
Semi Arredato
Tipo Soggiorno
Sala da Pranzo
Tipo Cucina
A Vista
Riscaldamento
Autonomo
Tipo Riscaldam.
Pompa di Calore
Tipo Impianto
Aria
Fonte Energetica
Elettrico
Infissi
Legno
Serramenti
Buono
Persiana
Tapparella PVC
Pavim. Giorno
Ceramica
Pavim. Notte
Ceramica
Pavim. Cucina
Ceramica
Pavim. Bagno
Ceramica

Accessori: Aria Condizionata

Mappa
Via borgoratto 30, Candia Lomellina (PV)
Condividi su
Cookie preference