Italiano
58.547 €

QUADRILOCALE ALL'ASTA

4 o più locali in vendita • Sant'Angelo Lomellina - Via perani, 26
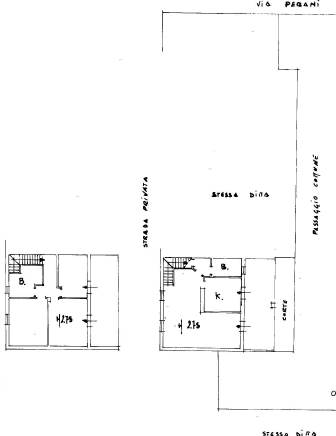
Appartamento sito in Sant'Aneglo Lomellina alla Via Perani 26, disposto su due livelli, composto da quattro locali con doppi servizi ed autorimessa, della superficie commerciale di 183 mq, termoautonomo
Appartamento sito in Sant'Aneglo Lomellina alla Via Perani 26, disposto su due livelli, composto da quattro locali con doppi servizi ed autorimessa, della superficie commerciale di 183 mq, termoautonomo
AFFARI ALL'ASTA è uno studio di consulenza che si occupa di aste immobiliari e saldo stralcio, dove il cliente viene seguito in tutto il percorso relativo all' acquisto tramite aste giudiziarie.
L' immobile viene venduto dal tribunale ed il prezzo indicato si riferisce all' offerta minima.
Contattaci per fissare un appuntamento per avere maggiori informazioni.
Per maggiori informazioni:
MILANO, VIA GIUSEPPE TARTINI, 12 (MI)
+39 3392588984
+39 3427176507

Per maggiori informazioni:
MILANO, VIA GIUSEPPE TARTINI, 12 (MI)
+39 3392588984
+39 3427176507
Caratteristiche principali
Codice
SFE26
Città
Sant'Angelo Lomellina
Categoria
4 o più locali
Prezzo
58.547 €
Locali
4
Bagni
1
Mq
183
Box
1
Piano
Terra
Classe energetica
G
Stato Immobile
Buono
Grado
Medio
Posizione
Centro
Panorama
Vista Aperta
Orientamento
Nord Ovest Sud Est
Giardino
Cortile
Arredi
Semi Arredato
Tipo Soggiorno
Sala da Pranzo
Tipo Cucina
A Vista
Riscaldamento
Autonomo
Tipo Riscaldam.
Caldaia
Tipo Impianto
Radiatori
Fonte Energetica
Metano
Infissi
Legno Doppio Vetro
Serramenti
Buono
Persiana
Persiana Legno
Pavim. Giorno
Ceramica
Pavim. Notte
Ceramica
Pavim. Cucina
Ceramica
Pavim. Bagno
Ceramica
Mappa
Via perani 26, Sant'Angelo Lomellina (PV)
Condividi su
Cookie preference