Italiano
145.500 €

TRILOCALE ALL'ASTA

3 locali in vendita • Cerro Maggiore - Via Don Marelli , 7
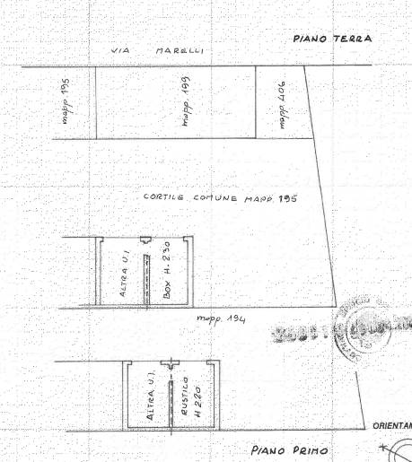
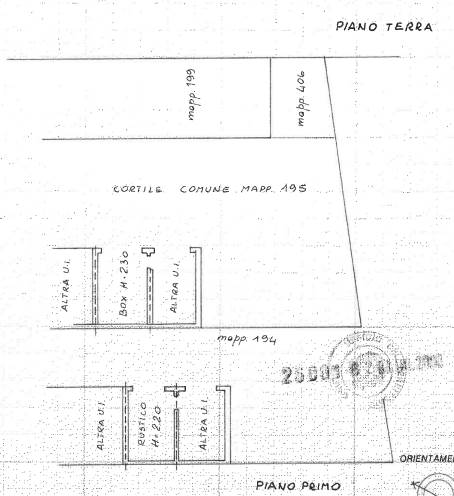
piena proprietà per 1/1 di abitazione in contesto cortilizio, distribuita su due livelli collegati da scala interna composta da tre locali con doppi servizi, della superficie commerciale di 157 mq, due box
piena proprietà per 1/1 di abitazione in contesto cortilizio, distribuita su due livelli collegati da scala interna composta da tre locali con doppi servizi, della superficie commerciale di 157 mq, due box
AFFARI ALL'ASTA è uno studio di consulenza che si occupa di aste immobiliari e saldo stralcio, dove il cliente viene seguito in tutto il percorso relativo all' acquisto tramite aste giudiziarie.
L' immobile viene venduto dal tribunale ed il prezzo indicato si riferisce all' offerta minima.
Contattaci per fissare un appuntamento per avere maggiori informazioni.
Per maggiori informazioni:
MILANO, VIA GIUSEPPE TARTINI, 12 (MI)
+39 3392588984
+39 3427176507

Per maggiori informazioni:
MILANO, VIA GIUSEPPE TARTINI, 12 (MI)
+39 3392588984
+39 3427176507
Caratteristiche principali
Codice
SDIC311
Città
Cerro Maggiore
Categoria
3 locali
Prezzo
145.500 €
Locali
3
Bagni
2
Mq
157
Box
2
Piano
Terra
Classe energetica
G
Stato Immobile
Buono
Grado
Medio
Posizione
Centro
Panorama
Vista Aperta
Orientamento
Nord Ovest Sud Est
Giardino
Cortile
Arredi
Semi Arredato
Tipo Soggiorno
Sala da Pranzo
Tipo Cucina
A Vista
Riscaldamento
Autonomo
Tipo Riscaldam.
Caldaia
Tipo Impianto
Radiatori
Fonte Energetica
Metano
Infissi
Legno
Serramenti
Buono
Persiana
Tapparella PVC
Pavim. Giorno
Ceramica
Pavim. Notte
Ceramica
Pavim. Cucina
Ceramica
Pavim. Bagno
Ceramica

Accessori:

Mappa
Via Don Marelli 7, Cerro Maggiore (MI)
Condividi su
Cookie preference