Italiano
18.360 €

MONOLOCALE ALL'ASTA

1 locale in vendita • Paderno Dugnano - Via DERNA, 17
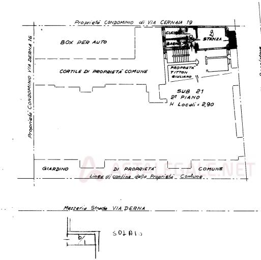
appartamento di piena proprietà di mq. 40, 2 piano, senza ascensore, ingresso/disimpegno, cucina a vista/soggiorno, bagno, camera, balcone. con annessa porzione di solaio al piano 5 uso cantina non individuato in sede di sopralluogo.
appartamento di piena proprietà di mq. 40, 2 piano, senza ascensore, ingresso/disimpegno, cucina a vista/soggiorno, bagno, camera, balcone. con annessa porzione di solaio al piano 5 uso cantina non individuato in sede di sopralluogo.
AFFARI ALL'ASTA è uno studio di consulenza che si occupa di aste immobiliari e saldo stralcio, dove il cliente viene seguito in tutto il percorso relativo all' acquisto tramite aste giudiziarie.
L' immobile viene venduto dal tribunale ed il prezzo indicato si riferisce all' offerta minima.
Contattaci per fissare un appuntamento per avere maggiori informazioni.
Per maggiori informazioni:
MILANO, VIA GIUSEPPE TARTINI, 12 (MI)
+39 3392588984
+39 3427176507

Per maggiori informazioni:
MILANO, VIA GIUSEPPE TARTINI, 12 (MI)
+39 3392588984
+39 3427176507
Caratteristiche principali
Codice
SDIC214
Città
Paderno Dugnano
Categoria
1 locale
Prezzo
18.360 €
Locali
1
Bagni
1
Mq
40
Piano
2
Classe energetica
G
Stato Immobile
Buono
Grado
Medio
Posizione
Periferia
Panorama
Vista Aperta
Orientamento
Nord Ovest Sud Est
Giardino
Cortile
Arredi
Semi Arredato
Tipo Soggiorno
Sala da Pranzo
Tipo Cucina
A Vista
Riscaldamento
Autonomo
Tipo Riscaldam.
Pompa di Calore
Tipo Impianto
Aria
Fonte Energetica
Elettrico
Infissi
Alluminio
Serramenti
Buono
Persiana
Tapparella PVC
Pavim. Giorno
Ceramica
Pavim. Notte
Ceramica
Pavim. Cucina
Ceramica
Pavim. Bagno
Ceramica
Mappa
Via DERNA 17, Paderno Dugnano (MI)
Condividi su
Cookie preference